Администрация ГО "Город Калининград". Трем новым улицам и четырем переулкам Калининграда подобраны названия
Размер:
AAA
Цвет: CCC
Изображения Вкл.Выкл.
Обычная версия сайта

Трем новым улицам и четырем переулкам Калининграда подобраны названия

30.05.2017
Трем новым улицам и четырем переулкам Калининграда подобраны названия

Трем новым улицам и четырем переулкам Калининграда подобраны названия

На севере города в топонимике будет развита украинская тема, а в районе школы №28 новые улицы продолжат тему семьи. Новые наименования присвоены перспективным улицам на заседании топонимической комиссии 29 мая.

Депутат Госдумы от Калининградской области Александр Пятикоп, обратившийся с письмом на имя главы города Александра Ярошука, предложил назвать одну из улиц именем Богдана Ступки, аргументируя это тем, что улица, названная в честь деятеля искусств, который дорог как украинскому, так и русскому народу, позволит оказать духовную поддержку братскому украинскому народу.

Но городская топонимическая комиссия не согласовала такое наименование, поскольку члены комиссии не нашли связи между Калининградом и никогда не бывавшим в нем актером. Они сочли, что украинская тема в названиях городских улиц должна развиваться, но иным образом. Членами комиссии обсуждались, например, названия улиц Переяславская и Сорочинская, однако их тоже отклонили.

В итоге активной дискуссии в северной части областного центра, в районе улицы Украинской появятся переулки Украинский и Миргородский, а также улица Миргородская. По мнению членов комиссии, отсылка к произведениям Николая Гоголя продолжит украинскую тему, заданную в топонимах микрорайона улицей Украинской. Один из сборников рассказов Николая Гоголя называется «Миргород», а сам он родился в Миргородском районе Полтавской области.

«Не нужно сильно в политику углубляться. Украинская тема тут вполне уместна. Гоголь и русский, и украинский писатель», – пояснил выбор комиссии член правления Калининградского  регионального фонда культуры Александр Попадин.

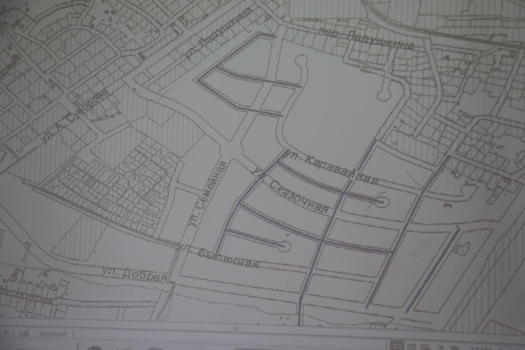
Не менее активно обсуждались и названия перспективных улиц и переулков в районе улиц А. Суворова – ул. Камская – пер. Ладушкина, в  микрорайоне, где зарезервирована земля для многодетных семей. Ранее улицам в этой части Калининграда были присвоены имена Семейная, Добрая, Сказочная и Былинная. На вчерашнем заседании семейная тема получила развитие. Члены комиссии проголосовали за присвоение двум улицам названий Рождественская и Нежинская, рядом по их решению появятся переулки Нежинский и Добрый.

«Улица, соединяющая улицы Семейную и Каравайную, это Нежинская. Улица, которая соединяет Нежинскую с Каравайной – переулок Нежинский. Восточнее маленькая улица – переулок Добрый, и большая улица, которая идет от переулка Ладушкина, пересекает Каравайную, Сказочную, Былинную и заканчивается в районе улицы Александра Матросова – это улица Рождественская», – рассказал о предложениях комиссии возглавляющий ее заместитель главы администрации, председатель КАиС Артур Крупин.

На заседании комиссии также было рассмотрено обращение калининградцев, которые просили присвоить одной из улиц имя Героя Советского Союза Петра Шемендюка. Однако члены комиссии предложение отклонили, поскольку в честь летчика уже названа школа №15.

После заседания комиссии Артур Крупин поделился с журналистами, что в структуре КАиС создан новый отдел адресного реестра. По численности он самый маленький, будет состоять всего из 3 человек.

«Тем не менее, за отделом закреплены конкретные задачи – вопросы, связанные с ведением федеральной информационной адресной системы. То есть все, что связано с адресообразующими элементами, в том числе и работа с присвоением наименований элементам планировочной структуры города. Эти специалисты будут нацелены на конкретную плодотворную работу, и перед ними будет задача систематизировать работу, которой сейчас занимаются несколько подразделений», – объяснил Артур Крупин.

 

Елена Бойко, пресс-служба администрации



 IMG_9156.JPG  IMG_9160.JPG
 IMG_9168.JPG  IMG_9173.JPG
 IMG_9177.JPG  IMG_9185.JPG
 IMG_9187.JPG  IMG_9196.JPG
 IMG_9200.JPG  IMG_9208.JPG
 IMG_9231.JPG  IMG_9239.JPG