
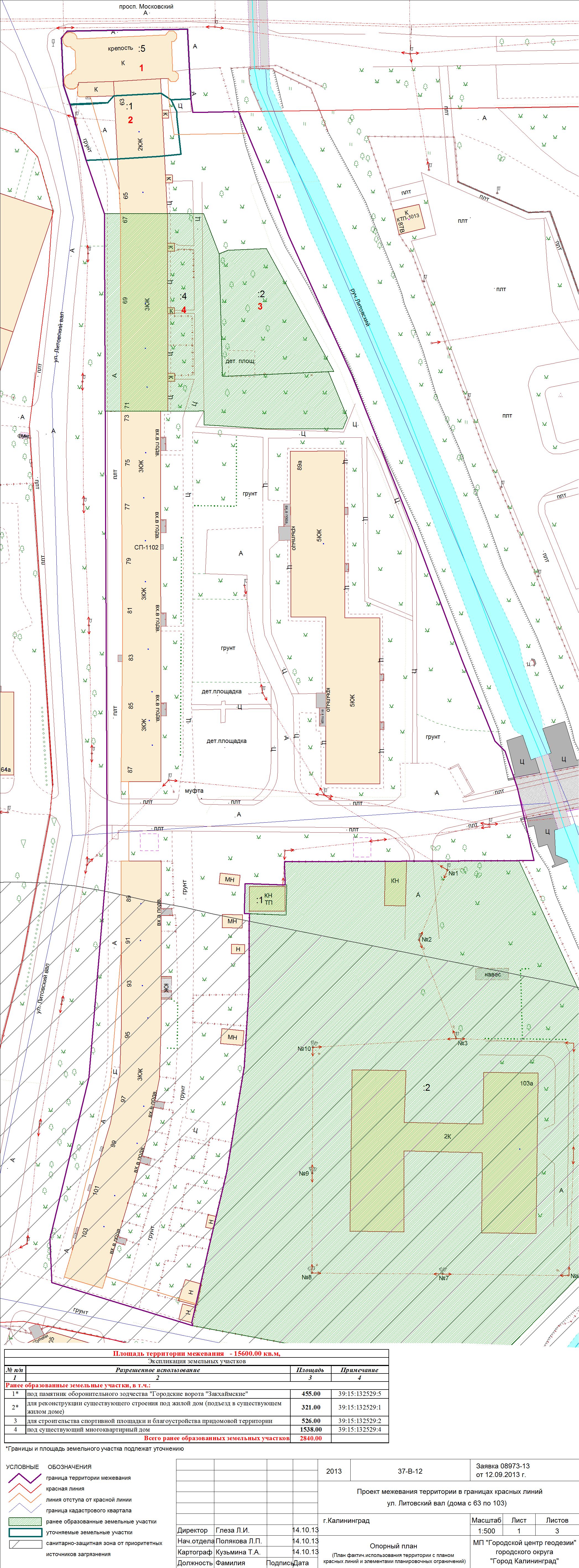
| Наименование проекта: | ул. Литовский вал (дома с 63 по 103) |
|---|---|
| № на схеме: | 340 |
| Дата утверждения: | 02.12.2013 |
| Материалы проекта: | Постановление № 1892 от 02.12.2013 Данные по нормативным и проектным площадям земельных участков Опорный план План красных линий Проект границ Пояснительная записка |
Калининград
