
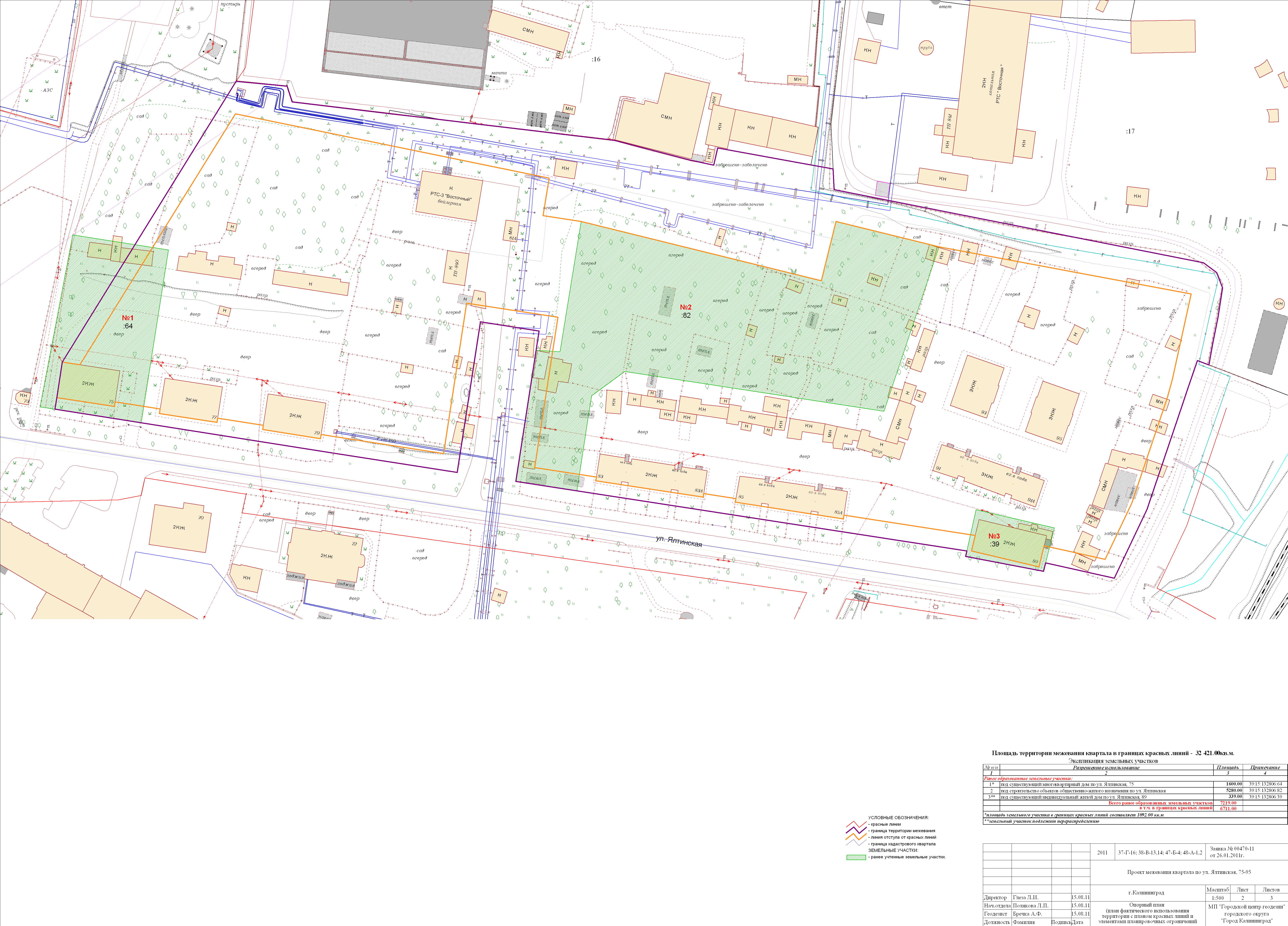
| Наименование проекта: | ул. Ялтинская, 75-95 |
|---|---|
| № на схеме: | 162 |
| Дата утверждения: | 29.06.2012 |
| Материалы проекта: | Постановление от 29.06.2012 № 1160 Опорный план План границ земельных участков Разбивочный чертёж красных линий Пояснительная записка Данные по нормативным и проектным площадям земельных участков |
Калининград
